Watch Watch
Your home of Development Ready videos
Watch Watch
Back
Sold Check

3 & 5 Gladstone Road Rivervale, WA 6103

+5 Photos

3 & 5 Gladstone Road Rivervale, WA 6103

Rivervale

×
Sold Check
+7 Photos

3 & 5 Gladstone Road Rivervale, WA 6103

Rivervale

SOLD
3 & 5 Gladstone Road Rivervale, WA 6103

3 & 5 Gladstone Road Rivervale, WA 6103

Properties / Sold / Western Australia / Rivervale
Development Potential
Property Type
Residential
Sub Type
Townhouse Sites
Land Area
1,366 m² (*approx)
LGA
City of Belmont
Selling Method
Contact Agent:
Show All

SUBDIVIDABLE PROPERTIES CLOSE TO RIVER & CROWN CASINO

These two adjoining properties are positioned in one of the best streets of Rivervale among several nice double-storey houses. 

Burswood Crown casino entertainment, Swan River and Perth Optus stadium are within walking distance.

If you are looking to renovate or to build a new double storey house or sub-divide into 3 lots, these two properties are perfectly suited for you! 
While waiting for DA & Building Permit approval, you can continue to receive rental income as currently both are leased out.
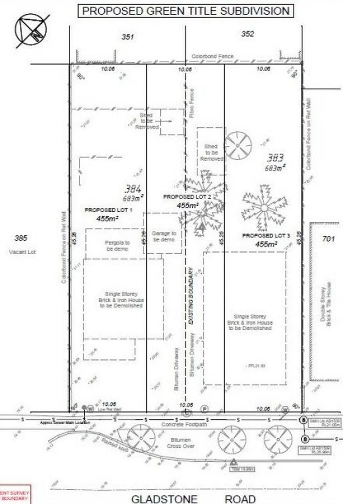
The combined land size 1,366 sqm can be sub-divided into 3 "Green Title" lots (455sqm/each) (STCA). 

Options
- Subdivide into 3 lots and build 3 new houses (STCA) with R20 zoning 
- Renovate or extension of the existing houses 
- Demolish & Build a new home 
- Continue to lease out the existing houses to allow for future capital growth 

3 Gladstone Rd Rivervale:
- Land size: 683 sqm
- 2 beds + 1 bath

5 Gladstone Rd Rivervale:
- Land size: 683 sqm
- 3 beds + 1 bath

Location: 
- 260m to St Augustine's Primary School
- 5 mins drive to St Clare's School
- 750m to Burswood Train Station
- 7 mins drive to Belmont Forum Shopping Centre
- Close to Cracknell Park (by Swan River) 
- Short stroll to Crown Entertainment Complex & Perth Optus Stadium 
- 12 mins driving distance to Perth CBD

*3 & 5 are two separate Green Title, single property investment is acceptable.
*STCA: Subject To Council Approval
*House to be sold "as is".
 
Remember to mention you found this property on DevelopmentReady
Read More
Development Potential

3 & 5 Gladstone Road Development Site Summary

Property Type
Residential
Sub-type
Townhouse Sites
Land Area
1,366 m² (*approx)
City of Belmont
Selling method
Contact Agent:

Development Site Highlights

SUBDIVIDABLE PROPERTIES CLOSE TO RIVER & CROWN CASINO

These two adjoining properties are positioned in one of the best streets of Rivervale among several nice double-storey houses. 

Burswood Crown casino entertainment, Swan River and Perth Optus stadium are within walking distance.

If you are looking to renovate or to build a new double storey house or sub-divide into 3 lots, these two properties are perfectly suited for you! 
While waiting for DA & Building Permit approval, you can continue to receive rental income as currently both are leased out.
The combined land size 1,366 sqm can be sub-divided into 3 "Green Title" lots (455sqm/each) (STCA). 

Options
- Subdivide into 3 lots and build 3 new houses (STCA) with R20 zoning 
- Renovate or extension of the existing houses 
- Demolish & Build a new home 
- Continue to lease out the existing houses to allow for future capital growth 

3 Gladstone Rd Rivervale:
- Land size: 683 sqm
- 2 beds + 1 bath

5 Gladstone Rd Rivervale:
- Land size: 683 sqm
- 3 beds + 1 bath

Location: 
- 260m to St Augustine's Primary School
- 5 mins drive to St Clare's School
- 750m to Burswood Train Station
- 7 mins drive to Belmont Forum Shopping Centre
- Close to Cracknell Park (by Swan River) 
- Short stroll to Crown Entertainment Complex & Perth Optus Stadium 
- 12 mins driving distance to Perth CBD

*3 & 5 are two separate Green Title, single property investment is acceptable.
*STCA: Subject To Council Approval
*House to be sold "as is".
 
Remember to mention you found this property on DevelopmentReady
Read More
Development Potential

Finance Calculator

3 & 5 Gladstone Road Rivervale, WA 6103

Secure/no obligation

Step 1

Loan Variables

Adjust the inputs to explore your indicative finance options.

You can adjust the inputs below by tapping ‘Adjust Variable Inputs’.

Estimated Purchase Price: $x,xxx,xxx
What you intend to pay for the property
Your Contribution: $x,xxx,xxx
The amount you’re investing
LVR: $x,xxx,xxx
Loan to Value Ratio

Estimated Purchase Price:*

What you intend to pay for the property

$

Your Contribution:

The amount you’re investing

Min: 0% - Max: 90% of purchase price.

$

LVR:

Loan to Value Ratio

Min: 10% - Max: 100% of purchase price.

%

Loan Analysis

Estimated Purchase Price:
Your expected purchase price. Final lender valuation may differ and will affect LVR and borrowing.
$x,xxx,xxx
Your Contribution:
Your funds toward the purchase (savings/equity/gift). Does not include costs like duty, legals or LMI.
$xxx,xxx
Loan to Value Ratio:
Calculated as Loan ÷ Price. Guidance only. Lender policy caps vary by property type, location and borrower profile.
xx%
Loan Amount:
Estimated loan based on your inputs. Excludes fees, LMI and costs. Subject to credit assessment and valuation.
in full report
Interest Only: Monthly Repayments
Estimate using interest-only at 5.85% p.a. Excludes fees. Rates can change without notice.
in full report
Principal & Interest: Monthly Repayments
Estimate at 5.85% p.a. over 15 years, monthly compounding. Excludes fees/LMI. Rates may change.
in full report
Stamp Duty: western australia
Indicative rate for western australia. Concessions/exemptions (e.g., first home) may apply and change the amount.
in full report
Stamp Duty Cost:
Estimate only. Check SRO western australia for the latest rules and any concessions that may reduce this figure.
in full report

Property Location of 3 & 5 Gladstone Road Rivervale, WA 6103

One moment please.

Retrieving map...

Due Diligence

Developments and amenities within a 5km radius of this Residential opportunity at 3 & 5 Gladstone Road Rivervale, WA 6103.

Site Report Available

Download your free DistrictData site summary. Make sure you are logged into DevelopmentReady to allow access

Report Contains

  • Site Summary
  • Development Pipeline
  • Recent Transactions
  • Surrounding Amenity
Download Report
Download Report
3 & 5 Gladstone Road Rivervale, WA 6103 Rivervale